본문 바로가기
회원가입
로그인
앤드성형외과의원
주메뉴 열기
주메뉴
KR
CN
EN
JP
회원가입
로그인
AND.
AND.소개
AND.의료진
눈성형
눈성형철학
자연유착/매몰/절개
눈매교정
또렷:아이라인 미니이마거상
트임성형
눈밑지방재배치
무쌍 쌍꺼풀 수술
특수눈성형
한쪽 재수술
소세지라인
겹쌍꺼풀
졸린눈/꺼진눈
코성형
코성형철학
유형별코성형
자가늑 코성형
기능코성형
콧볼축소
코재수술
남자코성형
특수코성형
연예인 3D코성형
입체라인 인중코성형
비중격 재건성형
구축코 재건성형
비주/비공 성형
페이스라인
앤드페이스라인패키지
앤드NV윤곽술
얼굴지방이식
실리프팅
엘라스티꿈리프팅
레이저리프팅
중년성형
앤드 리프팅패키지
상안검/눈썹하거상술
리프팅 하안검
눈밑지방성형
이마거상술
중안면거상술
최소절개안면거상술
쁘띠성형
인중오목술
필러
보톡스
윤곽주사
전후사진
상담예약/안내
온라인상담
진료안내/오시는길
둘러보기
리얼모델신청
AND.이벤트
주메뉴 닫기
ENG
KR
CN
EN
JP
AND. PLASTIC SURGERY
&
Before & After
전후사진 카테고리
전체
눈성형
눈재수술
코성형
페이스라인
중년성형
쁘띠성형
전체
자연유착ㆍ매몰
절개법
눈매교정
아이라인 미니이마거상
트임성형
눈밑지방재배치
전체
두줄따기
한쪽 재수술
전체
3D 핏미코
자가늑 코성형
인중코성형
기능코성형
콧볼축소
코재수술
구축코 재건성형
남자코성형
전체
NV윤곽술
실리프팅
전체
상안검ㆍ눈썹하거상술
리프팅 하안검
중안면거상술
전체
필러
보톡스
윤곽주사
회원로그인 후
전후사진 확인하기
LOGIN >
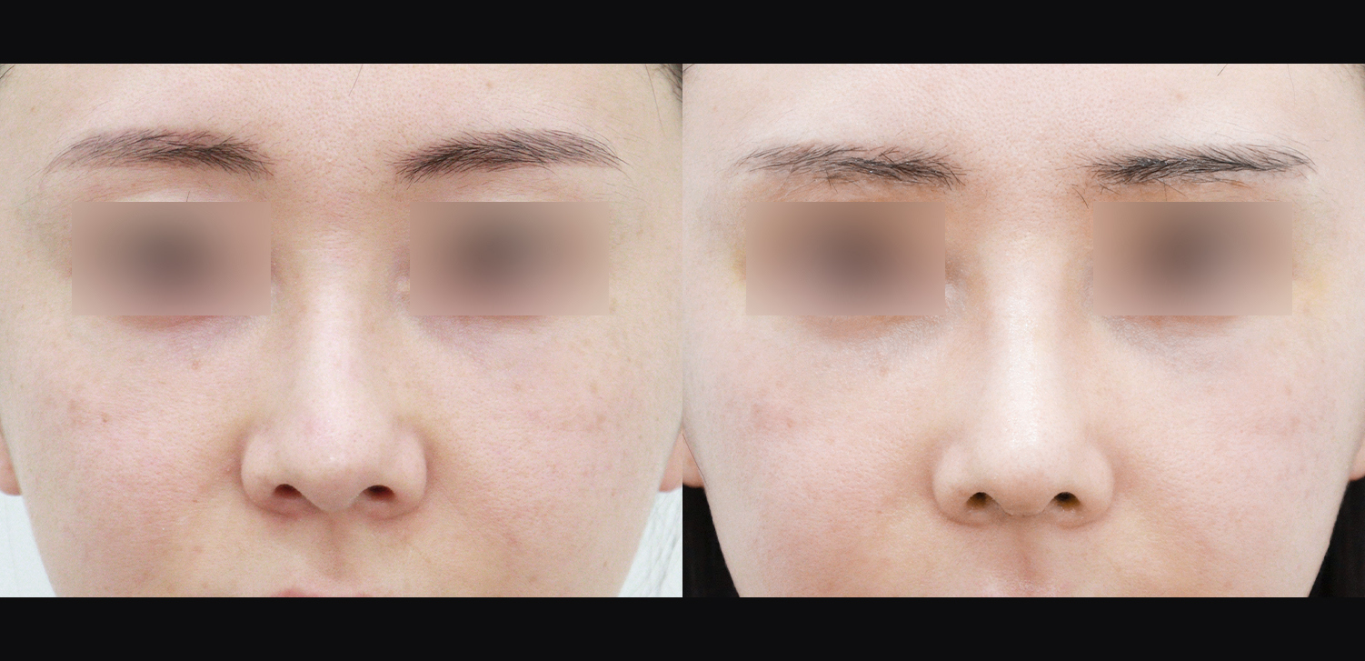
수술 후 3개월
FRONT
회원로그인 후
전후사진 확인하기
LOGIN >
수술 후 1개월
회원로그인 후
전후사진 확인하기
LOGIN >
수술 후 1개월
회원로그인 후
전후사진 확인하기
LOGIN >
수술 후 1개월
FRONT
45°
SIDE
회원로그인 후
전후사진 확인하기
LOGIN >
수술 후 1개월
회원로그인 후
전후사진 확인하기
LOGIN >
수술 후 1개월
회원로그인 후
전후사진 확인하기
LOGIN >
수술 후 1개월
FRONT
45°
SIDE
회원로그인 후
전후사진 확인하기
LOGIN >
수술 후 1개월
회원로그인 후
전후사진 확인하기
LOGIN >
수술 후 1개월
회원로그인 후
전후사진 확인하기
LOGIN >
수술 후 1개월
FRONT
45°
SIDE
회원로그인 후
전후사진 확인하기
LOGIN >
수술 후 1개월
회원로그인 후
전후사진 확인하기
LOGIN >
수술 후 1개월
회원로그인 후
전후사진 확인하기
LOGIN >
수술 후 1개월
FRONT
45°
SIDE
회원로그인 후
전후사진 확인하기
LOGIN >
수술 후 1개월
회원로그인 후
전후사진 확인하기
LOGIN >
수술 후 1개월
회원로그인 후
전후사진 확인하기
LOGIN >
수술 후 1개월
FRONT
45°
SIDE
회원로그인 후
전후사진 확인하기
LOGIN >
수술 후 1개월
회원로그인 후
전후사진 확인하기
LOGIN >
수술 후 1개월
회원로그인 후
전후사진 확인하기
LOGIN >
수술 후 1개월
FRONT
45°
SIDE
회원로그인 후
전후사진 확인하기
LOGIN >
수술 후 1개월
회원로그인 후
전후사진 확인하기
LOGIN >
수술 후 1개월
회원로그인 후
전후사진 확인하기
LOGIN >
수술 후 1개월
FRONT
45°
SIDE
이전
다음
394
BEFORE
눈밑지방재배치+지방이식(앞광대)
393
BEFORE
3D 코성형(복코+매부리코+인중코)
392
BEFORE
3D코성형 재수술(들창코+찝힌코+인중코)
391
BEFORE
3D코성형 재수술(화살코+휜코+기능코)
390
BEFORE
3D코성형 재수술(인중코+기능코)
389
BEFORE
3D코성형(들창코+복코+인중코)
388
BEFORE
3D코성형(복코+비추처짐개선+인중코+콧볼축소)
387
BEFORE
3D코성형 재수술(휜코+복코+기능코)
처음
1
페이지
2
페이지
3
페이지
4
페이지
열린
5
페이지
6
페이지
7
페이지
8
페이지
9
페이지
10
페이지
다음
맨끝
검색
검색대상
제목
내용
제목+내용
글쓴이
검색어
필수
검색
닫기
앤드성형외과
성함
연락처
상담내용/희망부위
개인정보처리방침
내용에 동의합니다.
미실시
상담신청
카카오 아이콘
카톡상담
온라인상담 아이콘
온라인상담
네이버예약 아이콘
네이버예약
오시는길 아이콘
오시는길